Em discussão há mais de dois anos, a empreitada que prevê a abertura de ambas as rotundas à circulação automóvel vai finalmente avançar após acordo com o IMT e o Metro Sul do Tejo.
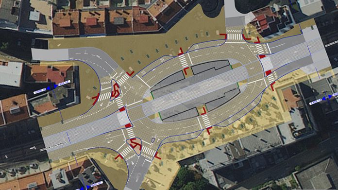
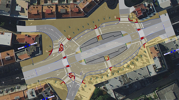
A requalificação do Eixo Central de Almada, entre as rotundas do Centro Sul e Cacilhas, vai arrancar depois de ter sido aprovado o procedimento para a contratação pública da execução da empreitada. Com um investimento municipal de 450.500,00 euros, a primeira de seis fases abrange a Praça Movimento das Forças Armadas e a Praça Gil Vicente.
O objetivo é melhorar as condições de circulação viária, ferroviária e pedonal, bem como a acessibilidade a pessoas com mobilidade reduzida. Segundo disse ao Semmais a presidente da autarquia, Inês de Medeiros, a intervenção pretende criar sistemas de “maior fluidez para diminuir o engarrafamento naquele eixo central” e passagens de peões, tentando resolver assim uma das grandes preocupações do município devido ao elevado número de acidentes que ocorrem na zona.
“Para além dos acidentes com as pessoas, temos acidentes com as viaturas que se encontram indevidamente estacionadas nas áreas destinadas ao metro, perturbando a circulação automóvel daquela zona”, afirma a autarca, assumindo que foi um “processo muito demorado” devido às negociações com o IMT e o Metro Sul do Tejo.
Projeto prevê reabertura da circulação em rotunda inutilizada
A câmara quer retomar o projeto inicial e reabrir a circulação automóvel na rotunda existente na Praça Movimento das Forças Armadas, que se encontra inutilizada e coberta de floreiras, por decisão do anterior executivo em resposta ao encerramento forçado pelo metro. “Com a reabertura da rotunda, os automóveis que venham do Centro Sul e queiram virar para as zonas de Almada velha, deixarão de ir até ao fim da rua e recuar, utilizando a rotunda para inverter o sentido de circulação”, explica a presidente.
O projeto contempla também alterações ao estacionamento existente, sendo criados lugares para veículos ligeiros, para pessoas com mobilidade condicionada e para cargas e descargas.
No seu conjunto, a intervenção irá abranger um total de três quilómetros, que se estende desde a rotunda do Centro Sul até Cacilhas. Depois de concluída a fase 1A, terá início a fase 1B, que diz respeito à avenida D. Nuno Álvares Pereira e D. Afonso Henriques. A fase 2 vai englobar o cruzamento entre a avenida Bento Gonçalves, a rua Lopes Mendonça e o entroncamento com a rua Mendo Gomes Seabra, enquanto que a 3 abrange a rotunda do Centro Sul e o cruzamento da avenida Bento Gonçalves com a rua Lopes Mendonça. Finalmente. Já a fase 4 prevê a intervenção no perímetro entre a praça Gil Vicente e a rotunda de Cacilhas.
Caixa
Caparica vai ter o novo parque urbano
O lançamento da empreitada para construção do Parque Urbano de Vila Nova de Caparica foi outra das propostas aprovadas na reunião do executivo camarário de Almada. Numa área de 3.900 m2, o novo espaço ficará localizado entre a rua Rafael Correia e as traseiras da Praceta João Jurado e incluirá zonas verdes, um parque infantil, equipamentos para a prática de atividade física e uma área para a realização de eventos. “O parque está englobado numa estratégia global ao município em que foi identificado que há falta de espaços verdes no meio urbano e acessível a todos”, afirma Inês de Medeiros, justificando que muitos destes espaços por vezes se encontram desvalorizados e por isso é necessária a requalificação. A intervenção implica um investimento de cerca de 300 mil euros.






